Table of Contents
There are some mysteries that grip the public imagination for decades, not least unexplained ship or aircraft disappearances. As I’ve reported recently, shipwreck hunters have recently found the wreck of the WWII-era SS Arlington at the bottom of Lake Superior, while another deep-sea exploration team has found what may be the remains of Amelia Earhart’s plane, at the bottom of the Pacific.
A more recent aviation disappearance may be about to be solved.
Missing Malaysia Airlines flight MH370 could be found within days if the search is started up again, an aerospace engineer believes. Richard Godfrey, who worked for Boeing, Airbus and Nasa before his retirement, is convinced he has found an entirely new system of tracking planes using radio signals. He has been trying to persuade governments to look again – and hopes new research and the 10 year anniversary of the flight going missing could provide new impetus for the search.
MSN
MH370 disappeared in 2014, less than an hour after it took off from Kuala Lumpur International Airport in Malaysia. Moments after a routine cockpit communication at 1:19am, the Boeing 777 disappeared from radar screens. No distress signal or message was ever sent. At first it was thought that the plane had crashed in the South China Sea, but it was later discovered that a series of automated “pings” had been detected by the British Inmarsat satellite over the Indian Ocean. It appeared, then, that the pilot had deliberately switched off the plane’s transponders and flown on until it ran out of fuel, somewhere west of Australia.
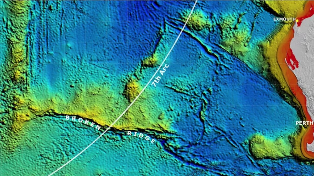
Based on the pings, the search was concentrated along a series of coordinates labelled the seventh arc, covering 600,000 square kilometres, about 2,500 km south-west from Perth. Charitha Pattiaratchi, professor of coastal oceanography at the University of Western Australia (UWA), and his team used an oceanographic drift model to predict that debris from this area would end up in the western Indian Ocean.

Their analysis guided solo hunter Blaine Gibson to find several more pieces of aircraft debris in Mozambique and along the African coastline […]
More than 20 pieces of debris from MH370 have been found on the African coast and islands in the Indian Ocean.
The first was the plane’s flaperon, which was discovered in July 2015 on a beach in Saint Denis on Reunion Island […]
ABC Australia
But a British aeronautical engineer, who has spent more than a year working on the disaster, thinks he has calculated where MH370 crashed.
Richard Godfrey has combined different data sets, previously kept in separate domains, to narrow down a likely crash site. The data includes the Inmarsat data, Boeing performance data, oceanographic floating debris drift data and amateur radio software data WSPR net.
Mr Godfrey said it was a “complicated exercise”, but previously there was simply a lack of lateral thinking, across multiple disciplines, to bring this together […]
The exact point determined by data calculations is around 33 degrees south and 95 degrees east in the Indian Ocean.
Rather than the vast areas of empty ocean previously searched, the new proposal is a circle with a radius of 40 nautical miles.
“The wreckage could be behind a cliff or in a canyon on the ocean floor,” he said. “And you need maybe three or four passes before you start to pick things up.” The wreckage could lie as far as 4,000 metres deep, he added.
BBC
Godfrey has a particularly personal reason for being so obsessed with a disappeared commercial flight: in 2009, he was due to be a passenger on Air France 447 from Rio to Paris. Work commitments, though, kept him in Brazil. AF447 was lost in the Atlantic. All 228 passengers and crew were killed.