Table of Contents
As I recently reported for The BFD, a claimed new lead in the case of vanished airline MH370 claims to have drastically narrowed the likely crash site. The Malaysian Airlines flight disappeared shortly after takeoff from Kuala Lumpur in 2014. All evidence points to the plane crashing somewhere over the Indian Ocean, after likely running out of fuel. Previous searches perforce covered thousands of miles of empty ocean, but a new analysis claims to narrow the likely crash site down to a circle of just 40 nautical miles radius.
Whether any new search turns up the missing airliner, perhaps leading to the final solving of the mystery of its disappearance, remains to be seen. But, even if previous searches didn’t locate the vanished plane, they did find some even older wrecks of ships that disappeared over a century ago.
The search for Malaysia Airlines flight MH370 is one of the most extensive in history. And while the airliner is still to be found, researchers looking for it have stumbled upon the wreckage of two ships that disappeared in the late 1800s.
Researchers can’t conclusively identify the ships – one, an iron ship; the other, a wooden one – because records from the era are incomplete. But they have found a few possible candidates.
Even just a century ago, shipping was a dangerous adventure. By the 1890s, up to 300 ships were lost every year. New technology, especially the advent of wireless communications at the turn of the 20th century, saw losses plummet after 1900 (excluding the vast tonnage sunk by combatants during WWI and WWII). So, figuring out which particular ships these wrecks might be is a fraught venture.
Records suggest the wooden ship may have been the W Gordon, which disappeared after leaving port in Cape Town, South Africa, in 1876 or the Mandala, which went missing on its voyage from Wales to the Maluku Islands in 1882.
The iron ship may be one of three vessels, but the best match appears to be the West Ridge, which was sailing from Liverpool to Mumbai in 1883 and never arrived.
Both ships probably had crews of between 15 and 30 men and they may have been carrying additional passengers, Anderson said.
“Then, as now, the disappearance of so many lives would have had a devastating impact on maritime families and communities,” said Dr Ross Anderson. He is the curator of maritime archeology at The Western Australia Museum.
The wrecks were found when a team from the Western Australia Museum was tasked with studying sonar data from the MH370 search. While there is still no known location for the airliner, the team found the two wrecks on the ocean floor some 2,300 kilometres off the West Australian coast. The ocean depth is about 4,000 metres.
Both ships were carrying coal – an especially dangerous business in the 19th century. Joseph Conrad vividly describes a coal gas explosion on a collier, in his short story Youth:
I seemed somehow to be in the air. I heard all round me like a pent-up breath released – as if a thousand giants simultaneously had said Phoo! – and felt a dull concussion which made my ribs ache suddenly… The coal-dust suspended in the air of the hold had glowed dull-red at the moment of the explosion. In the twinkling of an eye, in an infinitesimal fraction of a second since the first tilt of the bench, I was sprawling full length on the cargo.
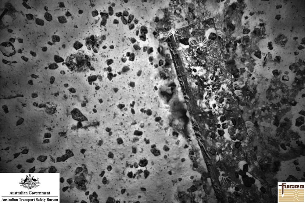
The wooden ship has mostly degraded, leaving only its metal fittings – and its cargo of coal.
The cargo was scattered on the ocean floor, suggesting it spilled out as it the boat sank.
“The evidence points to the ship sinking as a result of a catastrophic event such as explosion, which was common in the transport of coal cargoes,” Anderson said in a news release.
They also found a 20-foot long metal rectangle that was identified as the vessel’s iron water tank.
CNN

The iron ship is in remarkable proximity to the other, just 36 kilometres away – and in much better shape.
It was lying upright on the ocean floor and sonar and video images showed that it was an iron sailing ship with at least two decks.

Whether or not the search turns up MH370s wreck, these discoveries bring home just how vast and unexplored the oceans, which cover two thirds of the Earth, really are.